Dewsbury town centre walking and cycling improvements
The Dewsbury town centre walking and cycling improvement scheme aims to improve accessibility and safety for pedestrians, cyclists and road users and provide better connections across Dewsbury Town Centre and make sustainable travel a more attractive option for all. It will boost economic productivity and give people improved access to employment and educational opportunities.
This scheme is a collaborative project between Kirklees Council and the West Yorkshire Combined Authority (WYCA) and is funded by Transforming Cities Fund.
Part of our Dewsbury Blueprint, a 10-year plan that seeks to regenerate the town, make it more attractive, improve accessibility and provide for future growth.
Plans
- Aldams Road: Segregated cycle tracks and shared use facility. Upgrade existing pedestrian crossing to cycle crossings, footway improvements and highway network improvements.
- Asda Bridge Footpath: Maintenance of the existing shared footpath with vegetation cut-back.
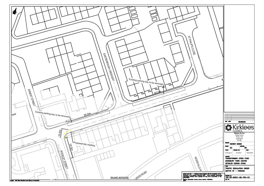
- Battye Street: New 20mph zone, proposed traffic calming measures, upgrade existing pedestrians crossing facilities, proposed one-way system at Alfred Street to improve safety.
- Bond Street: Wider footways and surface paving. The scheme is now complete.
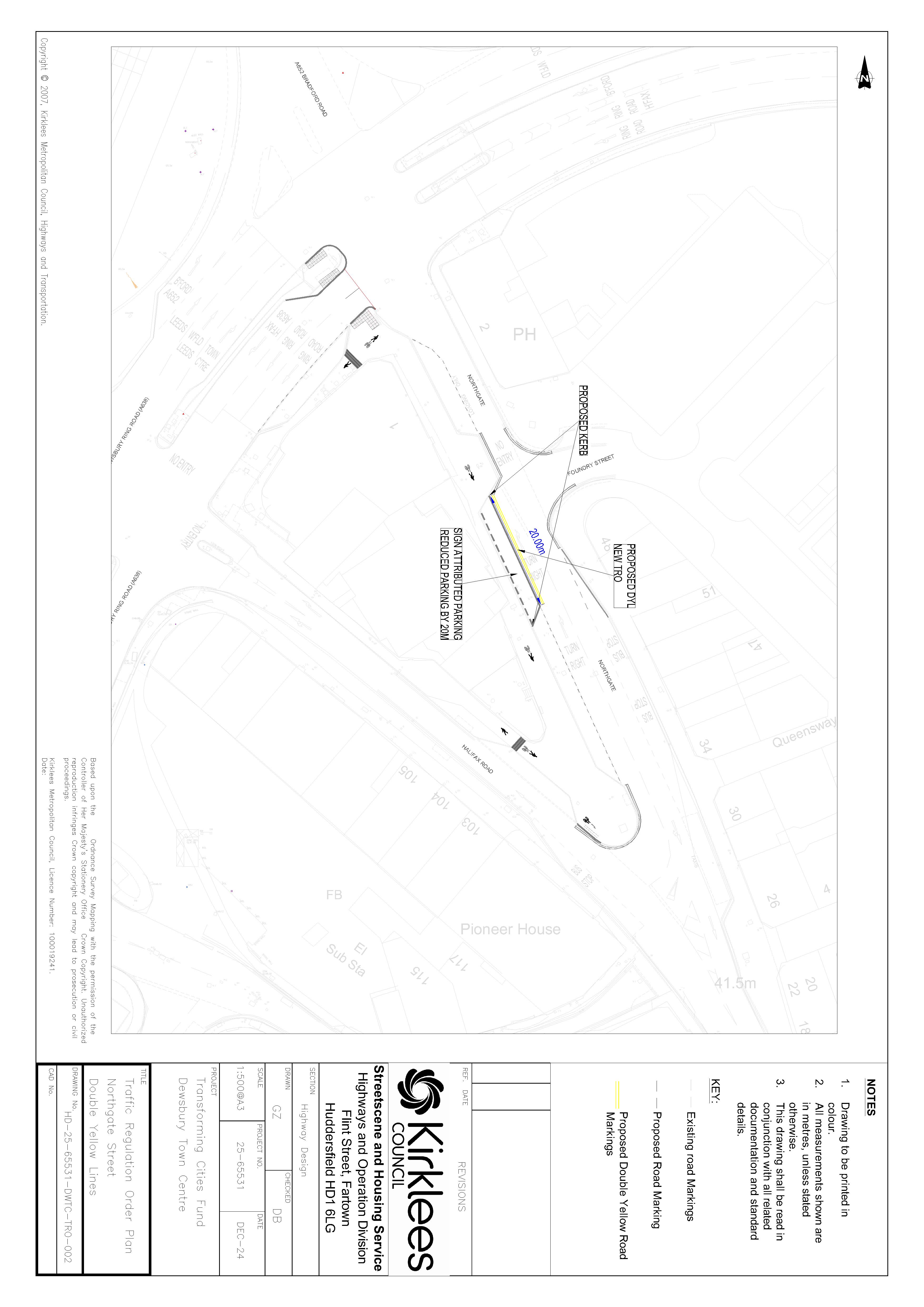
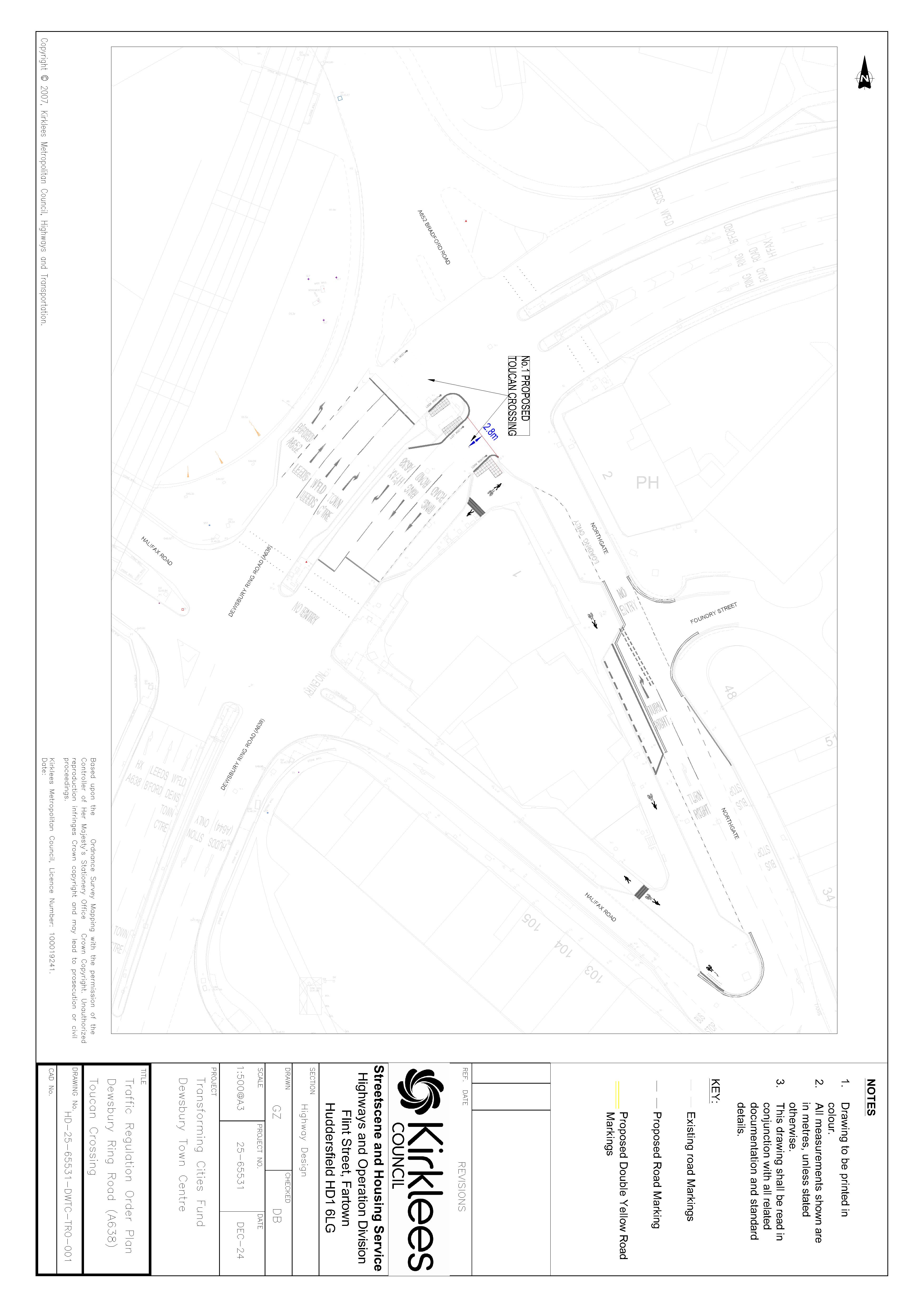
- Bradford Road / Halifax Road / Ring Road Junctions: Connecting A652 Bradford Road, proposed two-way segregated cycle track with Dewsbury Town Centre proposed shared-use cycle facility. Improved pedestrian crossing, upgrade pedestrian crossing to cycle crossing and Northgate footway improvements.
- Link Road & Longcauseway South: Proposed shared-use facility for all connecting the Cycle Network Route with Dewsbury Town Centre and upgrade the existing pedestrian crossing to include cycle crossings.
- Railway Street: Proposed traffic calming measures and upgrade existing pedestrian crossing facility.
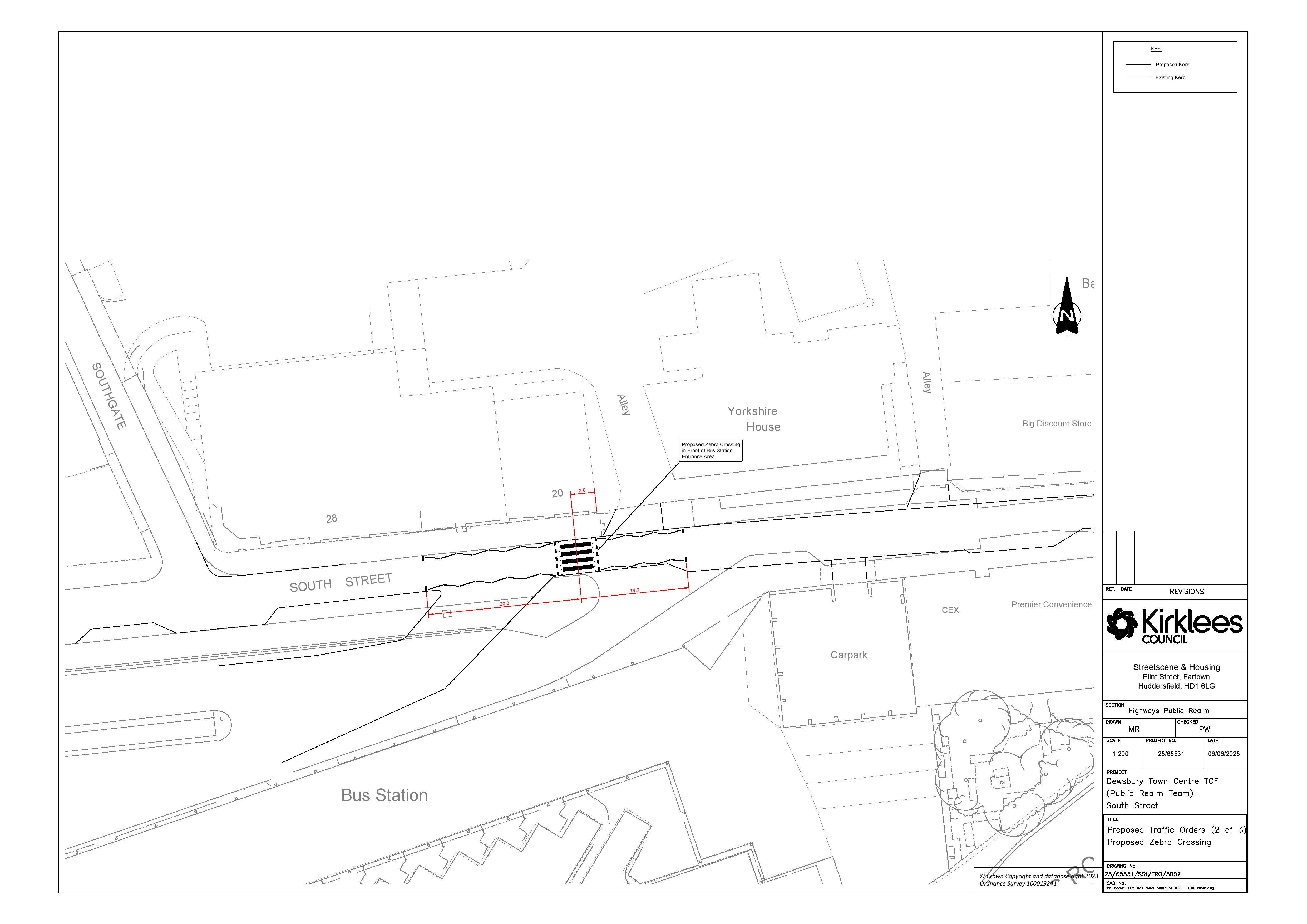
- South Street: New landscaped bus station entrance and public realm space with additional trees, pedestrian crossing points, traffic calming and cycle links.
Traffic Regulation Orders
Benefits
Better connections across Dewsbury town centre creates better access to more education, employment and training opportunities, contribute to the local economy and encourage further investment in the town centre.
With improved facilities for all, the improvements will help reduce congestion along the route and improve journey times for all. Improving connectivity and accessibility between Dewsbury Bus Station / Railway Station and the Town Centre to encourage use of public transport.
Investing in safety and infrastructure will improve the experience for anyone choosing to walk, cycle or wheel as part of their journey in Dewsbury town centre.
Introducing safer crossing points, better facilities for pedestrians and cyclists, and new traffic calming measures will make it safer for all highway users.
We're improving drainage and planting more trees and plants, creating green streets to support the local environment and create more attractive spaces. Improve air quality in the town centre and support clean growth by reducing transport-related carbon emissions and supports our vision to become carbon neutral by 2038.
Progress
Work on Bond Street was completed and the road reopened.
Construction started on Bond Street with traffic management in place.
Diversion and traffic management
To ensure improvements are completed safely and efficiently, some diversion routes and traffic management will be in place. These may change as work progresses, but all diversion routes are clearly sign posted. For the latest updates and to plan your journey use the national roadworks map, just search the affected roads to see planned works up to 12 months in advance.
Consultation
Second stage public consultation took place between 18 July - 22 August 2022. The outcome report is available online
Details of the initial public consultation which closed in November 2021, along with the outcome report, can be viewed online Dewsbury Town Centre Walking and Cycling Improvements - Your Voice
Contact us
- Phone 01484 221000
- Email major.transport@kirklees.gov.uk
Was this information useful?
We'd like your feedback to improve the Kirklees Council website and the information we provide.